A Cyclone Just Ripped Through Another US Territory — and Nobody Noticed

By , Anti-Media

(ANTIMEDIA)  Over the weekend, a tropical cyclone laid waste to a number of Pacific Island countries, including the unincorporated territory of the United States known as American Samoa.

According to a White House statement, U.S. President Donald Trump declared an emergency in the territory of American Samoa and ordered federal assistance to supplement response efforts in the territory due to the tropical storm known as Cyclone Gita. According to the statement, the president authorized the Department of Homeland Security’s Federal Emergency Management Agency (FEMA) to coordinate disaster relief efforts.

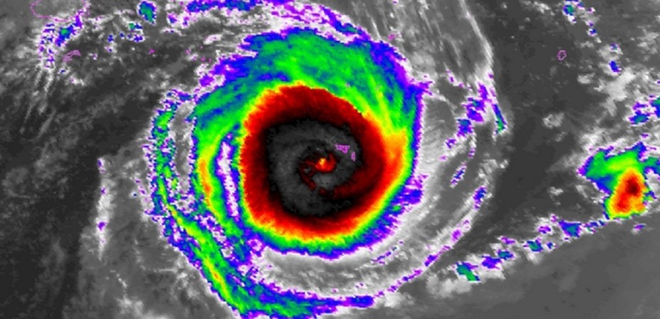
At the time the cyclone passed through American Samoa and Samoa, Gita was categorized as a Category One storm. Thousands of people lost communications and electricity, and health authorities became concerned about the spread of water-borne diseases, as well as dengue fever.

According to local reports, no injuries or deaths were reported, but the storm left many without power and further caused widespread damage to homes and infrastructure. Schools and businesses were ordered shut. Flooding and power outages were widespread across the country, including the capital city of Pago Pago, where rainfall in excess of 6 inches was reported.

The U.S. Coast Guard said the port of Pago Pago remained closed while authorities were forced to try to deal with a commercial fishing vessel that had run aground at the beginning of the month. A Coast Guard Hercules, a surveillance aircraft, was also reportedly flying from Hawaii to conduct an aerial assessment of the storm, according to Radio New Zealand.

After moving on from American Samoa and Samoa, the cyclone set its sights on the island nation of Tonga, which immediately declared a state of emergency.  At that stage, the cyclone was declared a Category Five storm and devastated much of Tonga’s vital infrastructure, including its 100-year-old parliament building.

The cyclone was expected in Fiji, Vanuatu, and New Caledonia by the end of this week.

According to the Guardian, Red Cross Pacific Communication manager Hanna Butler said the clean-up in American Samoa could take weeks or months, but a full-scale assessment of the extent of the damage was still incomplete.

While this isn’t exactly headline news, it bears remembering that technically speaking, American Samoa is a U.S. territory. The U.S. president sits as the country’s head of state, and the island is compelled, at least to an extent, to follow American laws, including Supreme Court rulings that contradict the country’s deep-seated religious beliefs (gay marriage laws, for example). Despite being at the behest of the U.S. at almost all times, its citizens are not afforded automatic American citizenship or any of the other perks that should come with being a U.S. territory. It is the only major U.S. territory that faces this conundrum.

Despite this unfair reality, American Samoa pays its dues. It has the highest rate of military enlistment out of any U.S. state or territory. Sadly, it also infamously had the highest death rate in the 2003 invasion of Iraq among all U.S. states or territories.

Creative Commons / Anti-Media / Report a typo

Share your thoughts

This site uses Akismet to reduce spam. Learn how your comment data is processed.